Nach der Gebäudeliste von 1950 vom Staatshochbauamt Lüneburg, trug die Behältergruppe VI die Nummern 29 bis 34. Bei diesen Tanks handelte es sich um sechs große, runde Stahlbetontanks. In diesen Betontanks waren die eigentlichen Stahltanks eingebaut worden. Jeder Behälter war 6m hoch und hatte einen Durchmesser von ca. 50m. Die Tanks wurden in einen Hang hinein gebaut. Die Sohle der Tanks lag nur knapp unter dem Niveau des nördlichen Waldweges (historischer Weg von Neetze zum Elbübergang bei Stipelse).
An der südlichen Stirnseite der Tank-Gruppe befand sich ein unterirdisches Wasserbecken (Zisterne) zur Speicherung von Löschwasser.
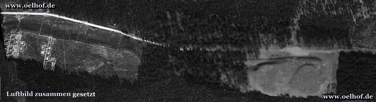
Auf dem zusammen gesetzten Luftbild im Kopf der Seite ist die Böschung der Tank-Gruppe nach Norden hin deutlich abgebildet. Die südliche Seite der Tank-Gruppe geht höhengleich in das weitere Gelände über. Die Tank-Gruppe befand sich im südlichen Bereich der Liegenschaft. Der Grund und Boden auf dem die Tank-Gruppe entstand gehörte noch zur Gemarkung „Sandbergen“, lag aber näher bei Breetze als bei Bleckede.

Auffällig ist ein großer Abstand zwischen dem Tank Nr. 30 und Nr. 31, der zwei weiteren Tanks in der Tank-Gruppe hinreichen Platz geboten hätte. Die Tanks der Gruppe VI wurde als letzte Tank-Gruppe in Bleckede erstellt. Möglich ist, neben Unwägbarkeiten im Baugrund, dass die Bauarbeiten in den letzten Kriegsjahren für dringendere Ausführungen an anderen Orten eingestellt wurden. (Vergl. dazu: Zieb, Paul Logistik-Probleme der Marine, S.106.)
In der nachfolgenden Zeichnung wurden die zwei „fehlenden“ Tankanlagen in die Gruppe VI zusätzlich eingefügt. Die Kapazität der Anlage hätte sich durch diese Tanks um ca. 20 000 t auf 360 000t erhöht.

Auch hier wurden die Stahlbehälter nach dem Krieg ausgebaut und die Betonbehälter gesprengt. Die Trümmer wurden hier, anders als in den Tank-Gruppen, nicht planiert.

Die zerstörten Tank-Behälter wurden mehrere Jahre lang mit Hausmüll verfüllt. Um ca. 1970 wurden die ehemaligen Trümmerflächen mit Erde überdeckt.


weitere Gebäude in dieser Rubrik sind:


